Skip to main content

76th Street Station

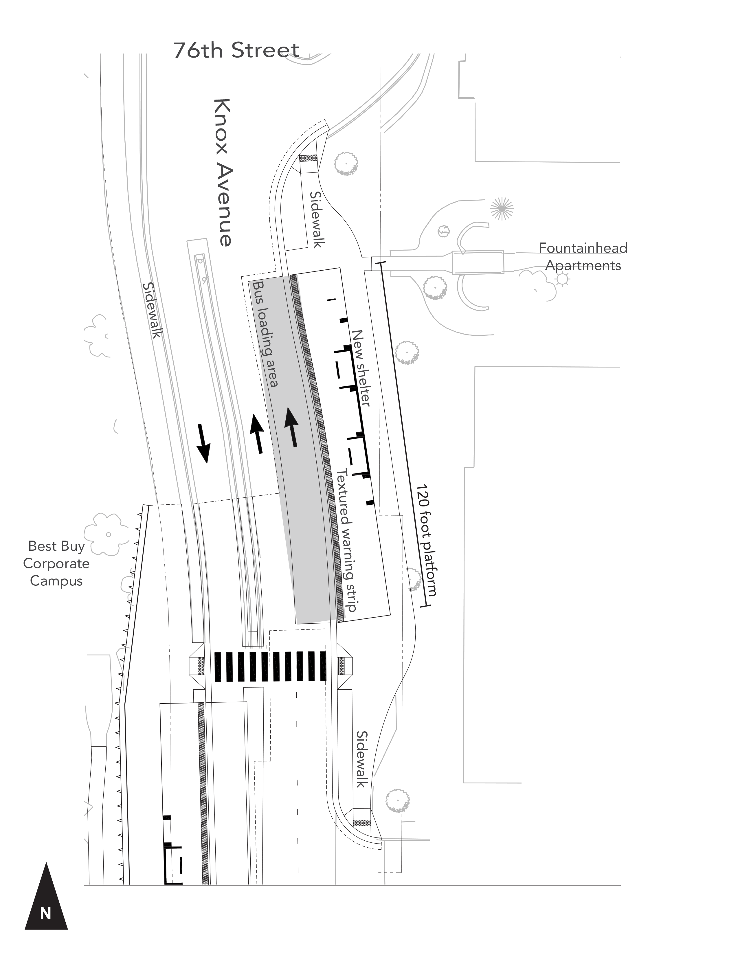
Knox Ave & 76th St Station, Richfield                                            

This station will be located on Knox Avenue between 76th Street and I-494. It will serve the Best Buy headquarters and Knox Avenue Park & Ride, and provide connections to local buses on 76th Street. Each platform will be 120 feet long and include two shelter waiting areas with a larger canopy.

Back to Map